



Proyecto:
Concurso para la reordenación del entorno del estadio y Plaza Houston
Situación:
Huelva
Fecha Concurso:
2003
Arquitectos:
Luisa Alarcón González Miguel Ángel Esteve Portolés / Mª Luz Galdamés Márquez
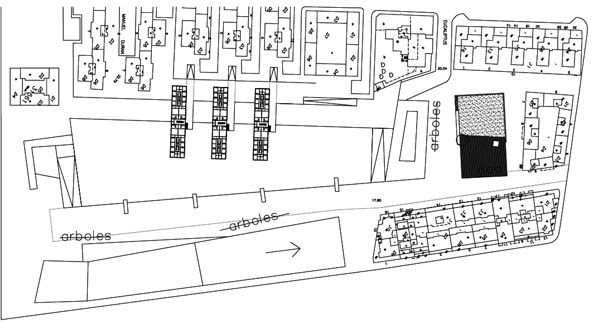
Reordenación del entorno en Isla Chica, Huelva
Se intenta resolver la desestructuración de todo el espacio urbano mediante un corredor verde peatonal a modo de gran parque. Este corredor tanto a nivel peatonal como visual, permite establecer las relaciones y dialogo entre los nuevos usos, enterrados en su mayor parte para no alterar el perfil y vacío existente en la trama urbana, ya que este es su verdadera vocación.
Existe un eje al que se van adosando los distintos usos en ambos lados, sin producirse contacto entre ellos. El recorrido empieza en la Plaza que da su frente la Avenida Federico Molina, y que recoge los tránsitos de inicio peatonal y de entrada al centro cívico con carácter más urbano y extrovertido que el centro de salud, ubicado al final del recorrido en la Plaza Houston. En los laterales del corredor se potencia la zona comercial en la Avenida Muñoz de Vargas y se continúa la trama urbana de la barriada Pio XII, para conexionar las nuevas viviendas con la trama urbana existente.
